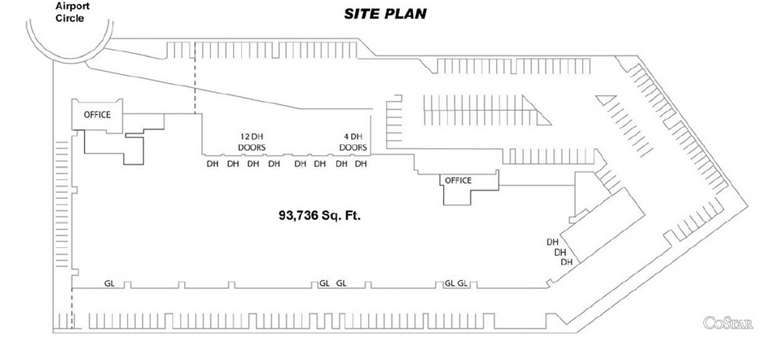
Industrial property for lease

  • Property Type: Industrial
  • Lease Type: Industrial Gross
  • Property Layout: Warehouse

Description

New paint and parking.

Location

255 Airport Cir, Corona, CA 92880